إعصار “ياغي” يتجه نحو جزيرة هاينان جنوب الصين

اتجه إعصار ياغي القوي نحو جزيرة هاينان، في جنوب الصين، محملا برياح مدمرة وأمطار غزيرة، بعد أن مر بالقرب من هونج كونج وأدى إلى إغلاق سوق الأوراق المالية في المدينة.
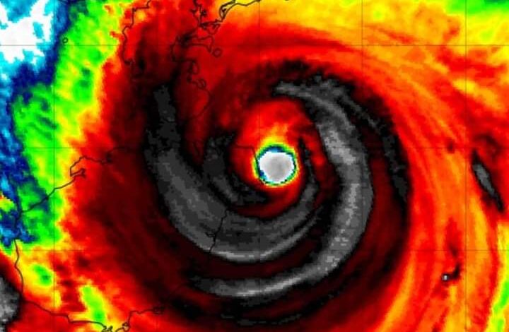
وكان إعصار ياغي، المعروف باسم ماكار في الصين، محملا برياح بلغت أقصى سرعة لها 130 عقدة(241 كيلومترا) في الساعة، حسب المركز المشترك للتحذير من الأعاصير.
ويعادل هذا النظام إعصارا من الفئة الرابعة، الذي يعتبر عاصفة قوية، لديها القدرة على إلحاق ضرر كارثي ، طبقا لما ذكرته وكالة بلومبرج للأنباء اليوم الجمعة.
ومن المتوقع أن يعبر الإعصار الساحل الغربي لجزيرة هاينان اليوم الجمعة، ثم يضعف أثناء تحركه فوق الجزيرة وتوجهه إلى خليج تونكين، باتجاه شمال فيتنام.
ومن المتوقع أن تضرب العاصفة القوية للغاية خليج ها لونج، المشهور في البلاد، قبل أن تمر عبر هانوي، عاصمة البلاد.
وقالت السلطات المحلية في مقاطعة هاينان بجنوبي الصين إنه حتى الساعة الحادية عشرة والنصف صباح اليوم الجمعة، تم إجلاء 419367 من سكان المقاطعة مع اقتراب الإعصار، حسب وكالة أنباء الصين الجديدة (شينخوا) اليوم الجمعة.
وتطور إعصار ياجي، وهو الإعصار الـ11 خلال العام الجاري، إلى إعصار قوي من المستوى الـ17، وتسبب في رياح تصل سرعتها القصوى إلى 245 كيلومترا في الساعة. ويتحرك الإعصار باتجاه هاينان ومن المتوقع أن يهبط على اليابسة بمدينة ونتشانغ في المقاطعة بعد ظهر اليوم الجمعة، وفقا لمديرية الأرصاد الجوية بالمقاطعة.
وأرسلت الحكومة الصينية فرق عمل للإشراف على جهود التعامل مع الفيضانات والأعاصير في المنطقة.
وفي فيتنام، حيث من المتوقع أن يضرب الإعصار البلاد غدا السبت، تم اتخاذ احتياطات لازمة، منذ عدة أيام. وتم نشر العديد من الجنود والمساعدين للتعامل السريع مع العاصفة وتداعياتها. وسيتم إغلاق أربعة مطارات، بما في ذلك واحد في العاصمة هانوي، كإجراء احتياطي غدا السبت.
وكانت هونج كونج قد رفعت التحذير من العواصف إلى ثالث أعلى مستوى، أمس الخميس، مع اقتراب إعصار ياجي من ضواحي المدينة وجنوب الصين.
يذكر أن إعصار ياجي أودى بحياة ما لا يقل عن 15 شخصا في الفلبين، واضطر الآلاف إلى الفرار من منازلهم، قبل أن يتحرك نحو بحر الصين الجنوبي



